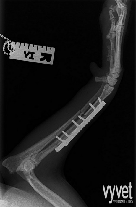
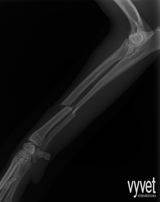
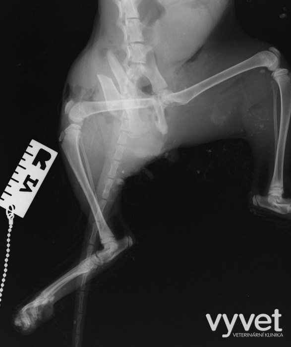
Nejčastějším problémem dlouhých kostí jsou zlomeniny (fraktury)
Rozdělujeme je do několika skupin podle charakteru, množství fragmentů, průběhu linie lomu, dislokace, stability atd.
Je mnoho popsaných metod fixací fraktur. Neinvazivní metodou je přikládání fixačních obvazů a kastů. Tento typ fixace však není ideální, protože nejsme schopni u zvířat zabezpečit dostatečně dlouhou dobu klidu pro srůst kosti. Ideální metodou je invazivnější přístup a to chirurgická repozice s následnou fixací osteosyntetickým materiálem.
Na našem pracovišti používáme zejména ploténky a hřeby.
po - pá: 8:00 - 13:00, 14:00 - 19:00
sobota: 8:00 - 11:00
neděle a svátky: pohotovost
Dědická 680/27A
682 01 Vyškov